



Por:Juan Carlos Figueroa
República Dominicana-(Santo Domingo)-Por el impacto que tendría sobre el sur del país el paso del poderoso huracán Beryl, el Centro de Operaciones de Emergencias (COE), recomendó a la población abstenerse de acercarse a la costa a observar el fuerte oleaje que generara Beryl, para evitar sufrir daños por probable oleaje anormal.
También pidió mantenerse en contacto con la Defensa Civil, Fuerzas Armadas, Cruz Roja, la Policía Nacional, Cuerpos de Bomberos y el Centro de Operaciones de Emergencias.
Solicitó a los residentes en zonas de alto riesgo que habitan próximo a ríos, arroyos y cañadas a estar atentos y tomar las medidas de precaución necesarias ante posibles crecidas e inundaciones repentinas.
De igual modo, abstenerse de cruzar ríos, arroyos y cañadas que presenten altos volúmenes de agua y no hacer uso de balnearios en las provincias bajo alerta.
De acuerdo al boletín del COE, de las 7:30 a. m. las instituciones de protección civil y la población deben darle estricto seguimiento al paso del huracán Berly, ya que en un plazo de 72 horas o menos, uno o dos de los tres efectos asociados a este fenómeno podrían sentirse en las zonas bajo alerta, como son: lluvias fuertes, vientos con fuerza de huracán y oleaje anormal.
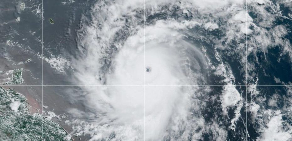
El huracán Beryl se encuentra actualmente cerca de la latitud 14.8 norte y longitud 67.4 oeste, aproximadamente a 410 km al sur/sureste de la Isla Saona (La Romana) y a unos 495 km al sureste de Punta Palenque (San Cristóbal). Beryl se desplaza hacia el oeste/noroeste a una velocidad de 35 kph.

El COE mantiene 02 provincias en alerta roja, aumenta 10 y al Distrito Nacional en amarilla y a 10 en verde, debido a que hoy martes, el huracán Beryl se ubicó a unos 410 km al sur/sureste de la Isla Saona (La Romana) y a unos 495 km al sureste de Punta Palenque (San Cristobal), y se mueve hacia el oeste/noroeste a unos 35 kph.
Asimismo, los vientos máximos sostenidos son de 270 kph con intensidad de un potente huracán, los vientos de fuerza de huracan se extienden a unos 65 km fuera de su centro y los tormentosos a unos 205 km, podrían observarse fluctuaciones del viento con ráfagas superiores.
En alerta roja 🔴 están:
Barahona
Pedernales
En alerta amarilla 🟡 están:
Peravia
Santo Domingo
Distrito Nacional
San Cristóbal
Azúa
Sánchez Ramírez
Independencia
La Vega
Monseñor Nouel
San José de Ocoa
Monte Plata
En alerta verde 🟢 están:
Puerto Plata
Santiago
La Altagracia
Espaillat
Bahoruco
Elías Piña
La Romana
San Pedro de Macorís
Hato Mayor
Hermanas Mirabal
San Juan
En ese sentido, se recomienda a las personas abstenerse de cruzar, ríos, arroyos y cañadas que presenten altos volúmenes de agua en las provincias bajo alerta.
De igual forma, todas las embarcaciones deben permanecer en puerto, desde Miches (El Seibo) hasta Isla Beata, dado la peligrosidad y el fuerte oleaje de este sistema tropical.
Además, se exhorta a la población abstenerse de acercarse a la costa a observar el fuerte oleaje que generara el paso del huracán Beryl, para evitar sufrir daños por los escombros lanzados por probable oleaje
anormal.





Descubre más desde DE REALIDAD RD 🇩🇴
Suscríbete y recibe las últimas entradas en tu correo electrónico.